
Milton se intensificó de nuevo este martes en aguas del Golfo de México y volvió a convertirse en un huracán de categoría 5 mientras se aproxima a la costa oeste de Florida, donde se espera que impacte el miércoles por la noche, informó el Centro Nacional de Huracanes (NHC, en inglés) de Estados Unidos.
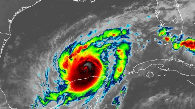
El "extremadamente peligroso" huracán Milton, que aumentó este martes de tamaño mientras se aproxima a la costa oeste de Florida, presenta en estos momentos vientos máximos sostenidos de 270 kilómetros por hora (165 millas).
El sistema se encuentra localizado a 520 kilómetros (320 millas) al oeste-suroeste de Dry Tortugas, en los Cayos de Florida, y a 775 kilómetros (480 millas) al suroeste de Tampa, en la costa oeste central de Florida.
Según la trayectoria pronosticada por el NHC, el centro de Milton se moverá hoy y mañana a través del este del Golfo de México y "tocará tierra a lo largo de la costa centro-oeste de Florida el miércoles por la noche", para luego cruzar la península y salir al Atlántico.
Si bien se esperan fluctuaciones en la intensidad, se pronostica que Milton "seguirá siendo un peligroso huracán mayor cuando desembarque en la costa oeste central" y salga el jueves a aguas del Atlántico, advirtieron.
Preocupa mucho la marejada ciclónica que puede causar Milton en la bahía de Tampa, de entre 10 y 15 pies de altura (de 3 a 4,5 metros). Los vientos con fuerza de tormenta tropical podrían llegar a la zona de la bahía de Tampa tan pronto como el miércoles por la mañana.
Se esperan también "vientos devastadores" a lo largo de partes de la costa oeste de Florida, donde un aviso de huracán está en efecto. La previsión de los meteorólogos del NHC es que Milton "permanezca como huracán a medida que cruza la península de Florida".
Insistieron en destacar la importancia de que "los preparativos para proteger la vida y la propiedad" deben completarse como muy tarde esta noche, además de estar listos para "cortes de energía de larga duración".
Las fuertes lluvias que arrojará Milton a través de la península floridana hasta el jueves conllevarán "el riesgo de inundaciones repentinas y urbanas catastróficas", especialmente en áreas donde las inundaciones costeras y terrestres se combinan.
El presidente de Estados Unidos, Joe Biden, advirtió este martes que el huracán Milton podría ser el "peor" en golpear el estado de Florida en un siglo y pidió a las personas que se encuentran en la trayectoria de la tormenta que evacúen lo antes posible.
Por su parte, el gobernador de Florida, Ron DeSantis, dijo esta tarde en una rueda de prensa que a los residentes les queda un corto espacio de tiempo para ejecutar sus planes de evacuación, antes de que el huracán Milton toque tierra probablemente este miércoles por la noche.
"Deberían estar ejecutando su plan ahora. Si van a salir, salgan ahora", instó DeSantis a la población residente en las zonas más expuestas al embate de Milton.
Florida, que aún intenta recuperarse de los daños de Helene, continúa preparándose para la mayor evacuación desde 2017 ante la amenaza de Milton, que atravesará casi todo el estado de oeste a este.