x
Síguenos
Denuncias aquí (809) 762-5555

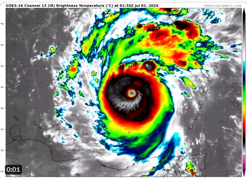
Beryl se comienza a sentir en Nagua, provoca fuerte oleaje y desprendimiento de árboles

lencyalcantara
2 julio, 2024 - 10:29 AM
1 minuto de lectura
Imagen sin descripción
Escuchar el artículo
Detener el artículo

Fuerte oleaje y desprendimiento de árboles se registran la mañana de este martes en el municipio Nagua de la provincia María Trinidad Sánchez, así lo informó el alcalde Junior Peralta.

"Las olas están un poco grande, se han caído unas cuantas matas" dijo el edil entrevistado vía telefónica en el programa el Sol de la Mañana de RCC Media.

"Está lloviendo mucho, se sienten los efectos en el municipio de Nagua" indicó.

Peralta explicó que las autoridades agudizan las medidas en el malecón porque los residentes de la zona se resisten a acatar las recomendaciones de los organismos de socorro.

"No hay forma de que la gente acata los llamados que se le hacen.. la gente no entiende" sostuvo.

Más Vistas